Local Service Overview

Get Ants Extermination Service in Atlanta, GA

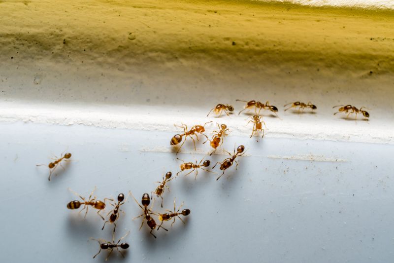
Ants extermination services for property owners in Atlanta, GA, and nearby areas address ant infestations, prevent future invasions, and handle large-scale or recurring ant problems.

Atlanta, GA

Ants extermination services are a practical solution for property owners in Atlanta, GA seeking to maintain a comfortable and functional living or working environment. Effective pest control helps prevent ant infestations that can disrupt daily routines, damage structures, and compromise hygiene. By addressing these issues promptly, property owners can enjoy peace of mind, knowing their spaces are protected from unwanted pests that may otherwise lead to increased maintenance needs and reduced curb appeal.

Engaging professional ant extermination services offers several benefits, including enhanced safety and durability of the property. Proper pest management reduces the likelihood of ant colonies causing structural damage or contaminating food sources, contributing to a healthier environment. Additionally, a pest-free property often maintains better curb appeal, supporting overall property value and aesthetic appeal. These services provide a reliable way to safeguard property investments while promoting a safe and inviting atmosphere.

Get Ants Extermination Service Quotes

  • Ant Infestation Removal - needed when ants invade kitchens, pantries, or dining areas in residential or commercial spaces.
  • Fire Ant Control - required for outdoor lawns and gardens where fire ants pose a threat to family activities and landscaping.
  • Carpenter Ant Treatment - necessary when wood structures, such as decks or framing, show signs of damage or infestation.
  • Sugar Ant Solutions - used in homes or businesses experiencing persistent ant trails around food sources and entry points.
  • Pharaoh Ant Eradication - sought after in healthcare facilities or food establishments to prevent the spread of bacteria via ant colonies.

Get Ants Extermination Service Quotes

Ants Extermination Service
Ants Extermination Service
Ants Extermination Service

Ants extermination services involve the identification and removal of ant infestations within a property. Professionals typically begin by inspecting the affected areas to determine the species of ants and the extent of the nest. Once the source is located, they employ targeted treatments such as baiting, dusts, or sprays designed to eliminate the colony at its source. These services aim to reduce ant activity, prevent future invasions, and restore comfort to the affected space.

Ant problems can cause significant inconvenience, especially in homes and commercial properties where ants may invade kitchens, dining areas, or storage spaces. Beyond the nuisance, some ant species can contaminate food supplies or cause structural damage over time. Exterminators help address these issues by implementing effective control measures that suppress ant populations and prevent them from returning, thereby helping property owners maintain a clean and pest-free environment.

Various types of properties utilize ant extermination services, including residential homes, apartment complexes, restaurants, and retail stores. In homes, ant infestations often occur in kitchens and pantries where food is stored. Commercial establishments, especially those in the food service industry, rely on professional pest control to meet health and safety standards. Additionally, property managers of multi-unit buildings often seek ongoing pest management to control ant populations across shared spaces and prevent widespread infestations.

Professional ant extermination services are essential for managing persistent or severe infestations that cannot be resolved through DIY methods. Local pest control providers offer tailored solutions suited to the specific needs of different property types. Whether dealing with minor ant activity or a full-blown invasion, contacting experienced service providers can help property owners effectively address the problem and maintain a pest-free environment.

The overview below groups typical Ants Extermination Service projects into broad ranges so you can see how smaller, mid-sized, and larger jobs often compare in Atlanta, GA.

In many markets, a large share of routine jobs stays in the lower and middle ranges, while only a smaller percentage of projects moves into the highest bands when the work is more complex or site conditions are harder than average.

Initial Inspection and Treatment - Cost typically ranges from $150 to $300 for a comprehensive inspection and targeted treatment. Prices vary based on the size of the property and severity of ant infestation.

Perimeter Barrier Service - Expect to pay between $200 and $500 for ongoing perimeter barrier treatments. This service helps prevent ant entry around the home or business.

Fumigation or Baiting Programs - Fumigation or baiting programs generally cost from $250 to $600, depending on property size and complexity of treatment required.

Annual Maintenance Plans - Annual service plans usually range from $300 to $700, offering regular treatments to control and prevent ant problems over time.

Actual totals will depend on details like access to the work area, the scope of the project, and the materials selected, so use these as general starting points rather than exact figures.

Get an Ants Extermination Service Quote

Ants Extermination - Local pest control providers offer targeted ant extermination services to eliminate infestations and prevent future issues.

Residential Ant Control - Service providers specialize in treating homes to remove ants and safeguard living spaces from recurring invasions.

Commercial Ant Extermination - Businesses can connect with pros experienced in managing ant problems in commercial environments to maintain a pest-free workplace.

Ant Prevention Services - Local experts provide preventative treatments to reduce the likelihood of ant re-entry and infestation.

Eco-Friendly Ant Removal - Service providers utilize environmentally conscious methods to address ant problems while minimizing chemical use.

Emergency Ant Extermination - Rapid response providers are available for urgent ant infestations that require immediate attention.

Ants Extermination Service

When comparing ants extermination services, experience is an important factor to consider. Local pros often have extensive knowledge of the specific ant species prevalent in areas like Atlanta, GA, and surrounding communities. This familiarity can contribute to more effective treatment strategies tailored to the local environment. Homeowners should look for service providers who have a proven track record of handling ant infestations similar to their own, ensuring that the chosen professional understands the nuances of local pest behaviors and the most appropriate solutions.

Clear communication and well-defined expectations are essential when selecting an ants extermination service. Reputable local providers typically offer detailed information about their treatment methods, what homeowners can expect during and after the service, and any necessary follow-up steps. Having transparent conversations helps ensure that homeowners understand the scope of work and any precautions needed, leading to a smoother experience. It’s beneficial to seek service providers who prioritize open dialogue and are willing to answer questions thoroughly.

Reputable references and positive feedback are valuable indicators of a local extermination professional’s reliability. Homeowners are encouraged to inquire about previous customer experiences or seek recommendations from neighbors or friends who have used similar services. Reliable service providers often have established relationships within the community and can provide references that attest to their professionalism and effectiveness. Consistent, clear communication and a history of satisfied clients can help homeowners feel more confident in selecting a local pest control provider for ant extermination needs.

Get an Ants Extermination Service Quote

Property owners in Atlanta, GA use Ants Extermination Service services for practical projects around their homes and businesses. The sections below highlight everyday jobs and straightforward project options.

Ants Extermination Service
Ants Extermination Service

Ants extermination services are often sought after by property owners in Atlanta, GA, who notice ant activity around their homes or businesses. Common situations include discovering trails of ants in kitchens, bathrooms, or outdoor spaces, which can indicate an infestation that needs prompt attention. Property owners may also seek professional assistance after attempting DIY methods that fail to eliminate persistent ant colonies, aiming to prevent further invasion and damage.

In addition to visible ant problems, many property owners look for extermination services as a preventative measure to protect their property from potential structural damage or contamination. Ants can sometimes be a nuisance that affects daily activities, especially in areas where food is stored or prepared. Local service providers can offer solutions tailored to the specific needs of properties in Atlanta, helping to maintain a clean and pest-free environment.

Get an Ants Extermination Service Quote

How do ant extermination services work? Ant extermination services typically involve identifying ant species, locating nests, and applying targeted treatments to eliminate colonies and prevent future infestations.

Are the treatments safe for pets and children? Many local pros use treatments that are safe when applied properly; it's recommended to discuss safety concerns with the service provider before scheduling.

How long does an ant extermination treatment take? The duration of treatments varies depending on the extent of the infestation, but most services can be completed within a few hours.

Will I need multiple treatments to control ants? Some infestations may require more than one treatment to fully eliminate ants and ensure they do not return.

How can I prevent future ant problems? Local pros often recommend ongoing maintenance, sealing entry points, and removing food sources to help prevent future ant issues.

Ants Extermination Solutions - Local service providers offer targeted treatments to eliminate ant infestations and prevent future outbreaks.

Inspection and Identification - Professionals can assess property conditions to identify ant species and entry points for effective removal strategies.

DIY Tips and Recommendations - Experts provide advice on sanitation and habitat elimination to reduce ant attractants around the property.

Ongoing Pest Management - Continuous monitoring and maintenance plans are available to keep ant populations under control over time.

Ants Extermination Service

Considering Ants Extermination Service for a property in Atlanta, GA? The sections above highlight common project types, practical options, and details that often shape the scope of work.

When you are ready, use the quote form to share a few details about your project. Local pros can review the basics and respond with options that match what you have in mind.

Get an Ants Extermination Service Quote

Ants Extermination Quotes