Local Service Overview

Get Ants Extermination Service in Cincinnati, OH

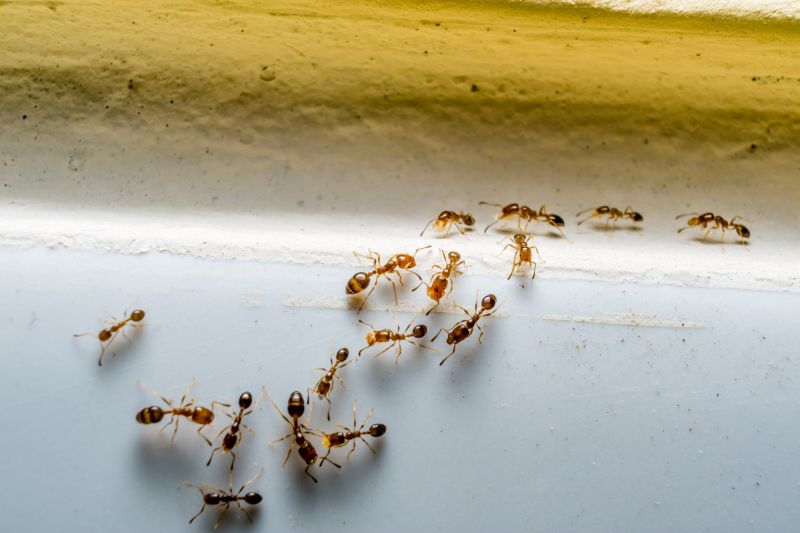
Ants extermination services for Cincinnati, OH, and nearby areas address ant infestations, including removal, prevention, and treatment for residential and commercial properties.

Cincinnati, OH

Ants extermination services are essential for property owners in Cincinnati, OH who want to maintain a comfortable and safe living environment. Infestations can disrupt daily routines, compromise hygiene, and cause damage to structures and belongings. Professional exterminators utilize targeted treatments to eliminate ant colonies effectively, reducing the likelihood of recurring issues and minimizing the need for ongoing maintenance. This helps preserve the functionality of both residential and commercial spaces, ensuring they remain safe, clean, and welcoming.

Choosing expert ant control services also offers benefits related to curb appeal and durability. A pest-free property looks more attractive and can help maintain or increase its value over time. Proper extermination methods not only remove current infestations but also help prevent future problems, contributing to the long-term durability of the property’s exterior and interior features. Property owners in Cincinnati can rely on local service providers to deliver solutions that support their goals of safety, comfort, and lasting performance.

Get Ants Extermination Service Quotes

  • Ants Extermination Services are recommended when homeowners notice ant trails or nests inside or around their property.
  • Residential properties in Cincinnati, OH, and nearby areas may require ant control to prevent infestations from spreading.
  • Commercial spaces experiencing ant activity in retail or office environments can benefit from professional extermination services.
  • Properties with a history of ant problems or signs of persistent activity might need targeted treatment to eliminate colonies.
  • Ant extermination is essential when ants invade kitchens, pantries, or other food storage areas to maintain hygiene.

Get Ants Extermination Service Quotes

Ants Extermination Service
Ants Extermination Service
Ants Extermination Service

Ants extermination services involve identifying and effectively eliminating ant infestations within residential, commercial, or industrial properties. Professionals typically conduct thorough inspections to determine the species involved and locate the nests or entry points. Treatment methods may include the application of targeted baits, insecticides, or barriers designed to prevent future invasions. The goal is to reduce ant populations and prevent their return, helping property owners maintain a pest-free environment.

These services address common problems caused by ants, such as property damage, contamination of food supplies, and the nuisance of constant crawling insects. Certain ant species, like carpenter ants, can cause structural damage by burrowing into wood, while others, such as odorous house ants or pavement ants, primarily create disturbances and clutter. Effective extermination not only removes visible pests but also targets hidden colonies, reducing the likelihood of recurring infestations.

Ants extermination services are frequently utilized in a variety of property types. Residential homes are common sites where homeowners seek assistance to protect food supplies and prevent damage. Commercial establishments, including restaurants, grocery stores, and food processing facilities, often require regular pest control to adhere to health standards and ensure customer safety. Additionally, multi-unit apartment complexes and industrial warehouses may also rely on professional services to manage ant problems across multiple units or large storage areas.

Engaging with local pest control providers ensures that property owners receive tailored solutions suited to their specific needs. These professionals use proven methods to address ant infestations efficiently and safely. Whether dealing with an initial invasion or ongoing issues, contacting experienced service providers can help manage ant populations effectively and restore a pest-free environment.

The overview below groups typical Ants Extermination Service projects into broad ranges so you can see how smaller, mid-sized, and larger jobs often compare in Cincinnati, OH.

In many markets, a large share of routine jobs stays in the lower and middle ranges, while only a smaller percentage of projects moves into the highest bands when the work is more complex or site conditions are harder than average.

Initial Inspection and Treatment - The cost for an initial ant inspection and treatment typically ranges from $100 to $300, depending on the size of the property and extent of infestation. Example costs might be around $150 for a standard residential home. Local pros can provide tailored estimates based on specific needs.

Perimeter Barrier Services - Applying perimeter barriers to prevent ant entry generally costs between $200 and $500. For example, a typical treatment around a mid-sized house may be approximately $250. Prices vary based on property size and treatment complexity.

Ongoing Maintenance Plans - Monthly or quarterly maintenance plans for ant control usually range from $50 to $150 per visit. For instance, a quarterly service for a small to medium-sized property might cost around $100 per session. Service providers can offer customized scheduling options.

Spot Treatments for Severe Infestations - Spot treatments for localized ant colonies often cost between $75 and $200 per treatment. An example would be a treatment targeting a specific nest, which could be around $100. Costs depend on the number and size of nests needing treatment.

Actual totals will depend on details like access to the work area, the scope of the project, and the materials selected, so use these as general starting points rather than exact figures.

Get an Ants Extermination Service Quote

Ants Extermination - Local pest control providers offer specialized services to eliminate ant infestations and prevent future occurrences.

Residential Ant Control - Professionals assist homeowners in addressing ant problems within houses and residential properties.

Commercial Ant Extermination - Commercial pest control services help businesses manage ant issues that could impact operations and customer experience.

Eco-friendly Ant Removal - Service providers may utilize environmentally safe methods to eradicate ants while minimizing chemical use.

Emergency Ant Control - Immediate assistance is available from local pros to handle severe ant infestations quickly and effectively.

Ant Prevention Consultations - Experts offer advice on sealing entry points and reducing attractants to prevent future ant invasions.

Ants Extermination Service

When evaluating ant extermination services in Cincinnati, OH, experience is a key factor to consider. Local pros often have varying levels of familiarity with the specific ant species common to the area, as well as the most effective treatment methods. Reviewing a contractor’s history of successful projects can provide insight into their expertise and ability to handle different infestation scenarios. It’s beneficial to seek out references or reviews from previous clients to gauge the quality of their work and their reputation within the community.

Clear communication and written expectations are important when selecting an ant extermination provider. Reputable local pros typically offer detailed service descriptions, outlining the scope of work, treatment methods, and any necessary follow-up procedures. This transparency helps ensure that homeowners understand what to expect and can ask informed questions before services begin. A professional contractor should be responsive and willing to address concerns or specific needs related to the property, fostering a collaborative approach to pest management.

Additionally, the reputation of local pros can often be assessed through references or reviews. Reliable service providers tend to have positive feedback from past clients, emphasizing professionalism, effectiveness, and dependable scheduling. When comparing options, it’s helpful to verify the credibility of these references and see if the contractor’s communication style aligns with the homeowner’s preferences. Since the site introduces local options rather than performing the work directly, homeowners are encouraged to contact multiple providers to find the best match for their ant extermination needs.

Get an Ants Extermination Service Quote

Property owners in Cincinnati, OH use Ants Extermination Service services for practical projects around their homes and businesses. The sections below highlight everyday jobs and straightforward project options.

Ants Extermination Service
Ants Extermination Service

Ants extermination services are often sought by property owners in Cincinnati, OH, who encounter common household or commercial pest issues. Ants can invade kitchens, pantries, and other areas, especially during warmer months, creating nuisances and potential contamination concerns. Property owners may look for professional assistance to effectively eliminate colonies and prevent future infestations, ensuring a clean and pest-free environment.

In addition to kitchens, ants can be found in basements, garages, or exterior spaces around homes and businesses. Property owners might seek extermination services after noticing increased ant activity or discovering trails leading indoors. Local service providers can help address these everyday situations by providing targeted treatments to control ant populations and safeguard the property from recurring issues.

Get an Ants Extermination Service Quote

How do ant extermination services work? Ant extermination services typically involve identifying the ant species, locating their nests, and applying targeted treatments to eliminate the colonies effectively.

Are ant extermination treatments safe for pets and children? Most professional ant treatments are designed to be safe when applied by experienced technicians, but it is advisable to follow any specific safety instructions provided by the service provider.

How long does an ant extermination treatment take? The duration of treatment varies depending on the extent of the infestation and the method used, but many services can complete the process within a few hours.

Will the ants return after treatment? While professional treatments significantly reduce the likelihood of ants returning, ongoing prevention measures may be recommended to maintain control.

How can I prevent future ant problems? Local pest control providers can offer advice on sanitation, sealing entry points, and other preventive strategies to help minimize the risk of future ant infestations.

Ants Extermination Techniques - Local pest control providers utilize a variety of methods to effectively eliminate ant infestations, including baiting and residual treatments.

Preventive Ant Control Tips - Professionals can advise on sealing entry points and removing attractants to reduce the likelihood of future ant problems.

Emergency Ant Extermination Services - Same-day or urgent services are available for severe ant infestations that require immediate attention.

Customized Ant Pest Management Plans - Service providers develop tailored strategies based on the specific ant species and infestation severity.

Ants Extermination Service

Considering Ants Extermination Service for a property in Cincinnati, OH? The sections above highlight common project types, practical options, and details that often shape the scope of work.

When you are ready, use the quote form to share a few details about your project. Local pros can review the basics and respond with options that match what you have in mind.

Get an Ants Extermination Service Quote

Ants Extermination Quotes